カテゴリ
月別 アーカイブ
- 2025年5月 (2)
- 2024年9月 (3)
- 2024年8月 (8)
- 2024年7月 (5)
- 2023年11月 (1)
- 2023年10月 (22)
- 2023年9月 (7)
- 2023年8月 (9)
- 2023年7月 (15)
- 2023年6月 (10)
- 2023年5月 (15)
- 2023年4月 (15)
- 2023年3月 (8)
- 2023年2月 (18)
- 2023年1月 (24)
- 2022年12月 (2)
- 2022年11月 (17)
- 2022年10月 (8)
- 2022年9月 (18)
- 2022年8月 (18)
- 2022年7月 (6)
- 2022年6月 (11)
- 2022年5月 (12)
- 2022年4月 (13)
- 2022年3月 (7)
- 2022年2月 (8)
- 2022年1月 (11)
- 2021年12月 (16)
最近のエントリー
HOME > ドルフィン日記 > 磯遊び教室,シュノーケリング教室 > 安全性アップのレアポイントで磯遊び教室
ドルフィン日記
安全性アップのレアポイントで磯遊び教室
2024年9月14日(土)
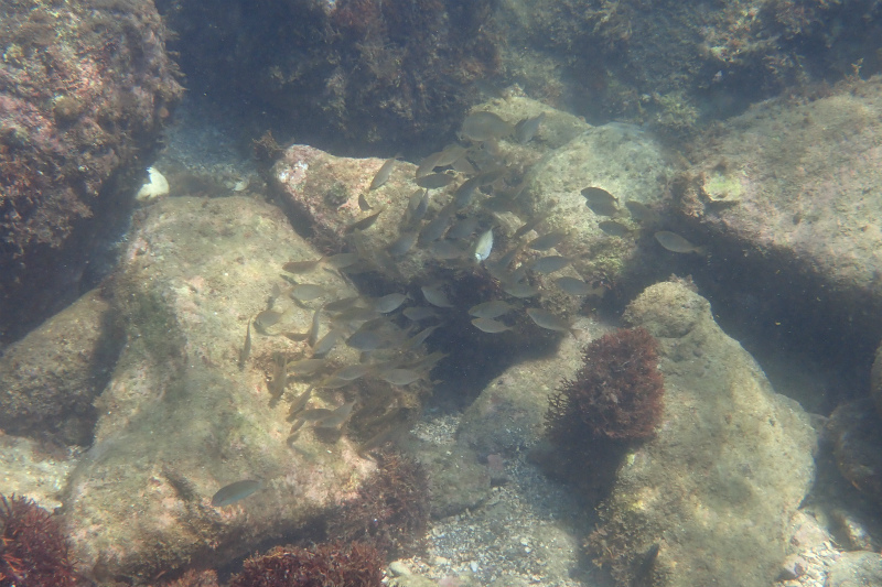
東京都文京区と横浜市から遊びに来られた2家族、計8名様の磯遊び教室を開催しました。
今回は小学2年生と小学1年生、そして4歳、3歳の子供達が参加してくれましたよ。
この日は中潮で開催時刻は満潮時刻に近かったこと、若干ウネリがあったため、かなりの範囲の磯場が水中へ…
そんな時でも開催地の琴ヶ浜では遊べる磯場があるんです。
いつものポイントと、いつもは行かないレアポイントで磯遊び教室を行いました。レアポイントは波消しブロックで外洋と隔てられているので安全性はUP、但し海が見えないのはご愛嬌と言うことで。
この日もいろんな生物を見つけたり、海水に浸かってプカプカしたりと9月の海を満喫したようでした。
【磯遊び教室,シュノーケリング教室】紹介ページへ
教室参加者のコメントはコチラ









東京都文京区と横浜市から遊びに来られた2家族、計8名様の磯遊び教室を開催しました。
今回は小学2年生と小学1年生、そして4歳、3歳の子供達が参加してくれましたよ。
この日は中潮で開催時刻は満潮時刻に近かったこと、若干ウネリがあったため、かなりの範囲の磯場が水中へ…
そんな時でも開催地の琴ヶ浜では遊べる磯場があるんです。
いつものポイントと、いつもは行かないレアポイントで磯遊び教室を行いました。レアポイントは波消しブロックで外洋と隔てられているので安全性はUP、但し海が見えないのはご愛嬌と言うことで。
この日もいろんな生物を見つけたり、海水に浸かってプカプカしたりと9月の海を満喫したようでした。
【磯遊び教室,シュノーケリング教室】紹介ページへ
教室参加者のコメントはコチラ
カテゴリ:
2024年9月14日 12:20
同じカテゴリの記事
小学4年生,6年生の女の子がシュノーケリングに挑戦
2024年9月15日(日)
群馬県の小学6年生、小学4年生の女の子2人とお父さん、お母さんでシュノーケリング教室に参加いただきました。
当日は海面は落ち着いているものの、台風などの影響もあってか透明度が落ち気味。
海中は白っぽい状態で、遠くまで見渡せる…とまでは言えないコンディションでしたが、皆さん次から次に目の前に出てくる生物を見て楽しんで頂けたようです。
ここで透明度がイマイチと言う時のシュノーケリングテクニックを幾つかご紹介します。
★自分で更に透明度を落とさないようにする
透明度が落ちる大きな要因の1つは人間です。人間が海に入ることで余計な水流が発生し、その水流が原因で色々なものが巻き上がります。状況にもよりますが入水する時やフィンを履く時は、水底と足が離れているような場所を選ぶと良いです。またシュノーケリング中に何度も水面上に顔を上げたり立つ方がいますが、顔を上げる時にはまず手を下向きにかいていることが多く巻き上げの原因となります。同じ意味で立つのはご法度です。
フィンキックは下に大きく蹴り込んでしまってもよくありません。
シュノーケリンングが楽しいと思った方は、今後の課題としてこんなことに注意できるよう、シュノーケリングテクニックをUPさせていきましょう。
【磯遊び教室,シュノーケリング教室】紹介ページへ
教室参加者のコメントはコチラ

群馬県の小学6年生、小学4年生の女の子2人とお父さん、お母さんでシュノーケリング教室に参加いただきました。
当日は海面は落ち着いているものの、台風などの影響もあってか透明度が落ち気味。
海中は白っぽい状態で、遠くまで見渡せる…とまでは言えないコンディションでしたが、皆さん次から次に目の前に出てくる生物を見て楽しんで頂けたようです。
ここで透明度がイマイチと言う時のシュノーケリングテクニックを幾つかご紹介します。
★自分で更に透明度を落とさないようにする
透明度が落ちる大きな要因の1つは人間です。人間が海に入ることで余計な水流が発生し、その水流が原因で色々なものが巻き上がります。状況にもよりますが入水する時やフィンを履く時は、水底と足が離れているような場所を選ぶと良いです。またシュノーケリング中に何度も水面上に顔を上げたり立つ方がいますが、顔を上げる時にはまず手を下向きにかいていることが多く巻き上げの原因となります。同じ意味で立つのはご法度です。
フィンキックは下に大きく蹴り込んでしまってもよくありません。
シュノーケリンングが楽しいと思った方は、今後の課題としてこんなことに注意できるよう、シュノーケリングテクニックをUPさせていきましょう。
【磯遊び教室,シュノーケリング教室】紹介ページへ
教室参加者のコメントはコチラ
2024年9月15日 15:26
神奈川県川崎市から5歳幼稚園年長さんが磯遊びに挑戦
2024年8月26日(月)
神奈川県川崎市から5歳幼稚園年長さんの男の子とお父さんが磯遊び教室に参加してくれました。
前回の磯遊び教室に引き続き5歳幼稚園年長さんの参加ということで、まずは水慣れを第一に潮溜まりからスタート。小石をひっくり返していくと小さいカニを見つけることができました。
磯遊び教室は個人の網やバケツ、虫かご水槽、ライフジャケットなどお持ち込み頂いてOKですが、ライフジャケットは必ず全員分、数に限りはありますが網、水槽、箱メガネの貸し出しをしています。磯遊びを経験してもらうことで、海を遊び方を学んでもらい、海に興味を持ってもらい、海を好きになってもらう、これがドルフィンアイズが磯遊び教室を開催する理由です。そのための最低限の磯遊びグッズは必要かと思ってます。
今回はエビの捕まえ方や箱メガネの使い方を簡単にお教えしたら、すぐに使いこなせてビックリしました。特に幼稚園児だと箱メガネは水中を覗く道具と言うより、水をためて生物を入れる道具になっちゃうことが多いんです(笑)
写真を見ても箱メガネを上手に使っていることがわかりますね。
素晴らしいです!
【磯遊び教室,シュノーケリング教室】紹介ページへ
教室参加者のコメントはコチラ



神奈川県川崎市から5歳幼稚園年長さんの男の子とお父さんが磯遊び教室に参加してくれました。
前回の磯遊び教室に引き続き5歳幼稚園年長さんの参加ということで、まずは水慣れを第一に潮溜まりからスタート。小石をひっくり返していくと小さいカニを見つけることができました。
磯遊び教室は個人の網やバケツ、虫かご水槽、ライフジャケットなどお持ち込み頂いてOKですが、ライフジャケットは必ず全員分、数に限りはありますが網、水槽、箱メガネの貸し出しをしています。磯遊びを経験してもらうことで、海を遊び方を学んでもらい、海に興味を持ってもらい、海を好きになってもらう、これがドルフィンアイズが磯遊び教室を開催する理由です。そのための最低限の磯遊びグッズは必要かと思ってます。
今回はエビの捕まえ方や箱メガネの使い方を簡単にお教えしたら、すぐに使いこなせてビックリしました。特に幼稚園児だと箱メガネは水中を覗く道具と言うより、水をためて生物を入れる道具になっちゃうことが多いんです(笑)
写真を見ても箱メガネを上手に使っていることがわかりますね。
素晴らしいです!
【磯遊び教室,シュノーケリング教室】紹介ページへ
教室参加者のコメントはコチラ
2024年8月27日 11:40
幼稚園児の磯遊び教室
2024年8月25日(日) 午後
東京都渋谷区からお越しのご家族4名様と、茨城県からお越しのご家族4名さま、全員で8名様の磯遊び教室を開催しました。
たまたまですが、両ご家族さま共にお子様は5歳と3歳でした。
こんな偶然あるんですね〜。
ドルフィンアイズの磯遊び教室の参加年齢は3歳から。
今回は3歳児が2人いましたので、まずは潮溜まり(タイドプール)で水慣らしからスタート。水の中には小魚が泳ぎ、時折ハゼ類が岩の下から出てきて隠れて…を繰り返してます。それを見つけて「あそこっ!」「ここっ!!」と歓声が上がります。潮猛暑の潮溜まりは温水プール状態。気持ち良いを通り越して温いお風呂のような水温ではありますが、海が初めての子供達にとっては慣れやすい環境です。
しかし、一見安全そうな潮溜まりでも油断は禁物です。開催地の琴ヶ浜の潮溜まりは独特な岩質なのでそのあたりを簡単にレクチャーしてから遊んで頂きました。
潮溜まりで慣れてきた後は、もう少し海の方へ。
ここからは海水温が下がります。と言うか本来の海水温になります(笑) とはいえ27度くらいはありますから暖かいんですねどね。浸かっていると気持ち良いです。そんな場所にはカニがいっぱい!小さいカニ、大きいカニ、エビ、ナマコ、イソギンチャク、カイメンなどなど。
今回もたくさんの生物を見つけることができました。
夏の良い思い出になるといいなぁ〜。
【磯遊び教室,シュノーケリング教室】紹介ページへ
教室参加者のコメントはコチラ





東京都渋谷区からお越しのご家族4名様と、茨城県からお越しのご家族4名さま、全員で8名様の磯遊び教室を開催しました。
たまたまですが、両ご家族さま共にお子様は5歳と3歳でした。
こんな偶然あるんですね〜。
ドルフィンアイズの磯遊び教室の参加年齢は3歳から。
今回は3歳児が2人いましたので、まずは潮溜まり(タイドプール)で水慣らしからスタート。水の中には小魚が泳ぎ、時折ハゼ類が岩の下から出てきて隠れて…を繰り返してます。それを見つけて「あそこっ!」「ここっ!!」と歓声が上がります。潮猛暑の潮溜まりは温水プール状態。気持ち良いを通り越して温いお風呂のような水温ではありますが、海が初めての子供達にとっては慣れやすい環境です。
しかし、一見安全そうな潮溜まりでも油断は禁物です。開催地の琴ヶ浜の潮溜まりは独特な岩質なのでそのあたりを簡単にレクチャーしてから遊んで頂きました。
潮溜まりで慣れてきた後は、もう少し海の方へ。
ここからは海水温が下がります。と言うか本来の海水温になります(笑) とはいえ27度くらいはありますから暖かいんですねどね。浸かっていると気持ち良いです。そんな場所にはカニがいっぱい!小さいカニ、大きいカニ、エビ、ナマコ、イソギンチャク、カイメンなどなど。
今回もたくさんの生物を見つけることができました。
夏の良い思い出になるといいなぁ〜。
【磯遊び教室,シュノーケリング教室】紹介ページへ
教室参加者のコメントはコチラ
2024年8月26日 10:55
小学6年生(11歳)と2年生(7歳)の男の子がシュノーケリング挑戦
2024年8月25日(日) 午前
東京都港区からお越しの11歳小学6年生と7歳小学2年生のご兄弟とお父さんでシュノーケリング教室に参加いただきました。
シュノーケリングを開始すると、海のコンディションはまずまずで水は白っぽいながらもなかなかの透明度でした。
神奈川の海には定着しない南の海から運ばれてくる魚(季節来遊魚と言います)がチラホラいました。
ここで季節来遊魚についてお話ししておきます。
日本の周りには大きく4つの海流があります。海流とは海の中の川の流れのようなもので、常に一定方向に流れています。この海流の1つに黒潮があります。黒潮は透明度の高い暖かい流れ(暖流)で沖縄の方から太平洋を本州沿いに北上し、房総半島沖で本州から離れていきます。この黒潮に乗っていろいろな生物が太平洋側の各地に流れ着きます。神奈川では6月くらいから観察でき始め、徐々に数が増えていきます。神奈川を住処とした季節来遊魚達は季節を追うごとに成長しますが、12〜1月を迎えると下がった水温に耐えられず死んでしまします。そして翌年また新たな季節来遊魚がやってきます。
これが正常なサイクルだったのですが、実は近年海水温の上昇により死なずに翌春まで生きながらえて更に成長する季節来遊魚が増えています。今までは神奈川の海では見ることのなかったサイズの季節来週魚が非常に増えているのです。もはや季節来遊ではなくなりかけているわけですね。
写真の白と黄色の魚はトゲチョウチョウウオの幼魚です。「ザ沖縄」な魚です。季節来遊魚の代表格です。
またもう1枚の写真はアイゴの幼魚です。この魚は季節来遊魚ではないのですが、水温が上がったことで爆発的に増えた魚で、海藻を食べてしまう厄介な魚です。
【磯遊び教室,シュノーケリング教室】紹介ページへ
教室参加者のコメントはコチラ



東京都港区からお越しの11歳小学6年生と7歳小学2年生のご兄弟とお父さんでシュノーケリング教室に参加いただきました。
シュノーケリングを開始すると、海のコンディションはまずまずで水は白っぽいながらもなかなかの透明度でした。
神奈川の海には定着しない南の海から運ばれてくる魚(季節来遊魚と言います)がチラホラいました。
ここで季節来遊魚についてお話ししておきます。
日本の周りには大きく4つの海流があります。海流とは海の中の川の流れのようなもので、常に一定方向に流れています。この海流の1つに黒潮があります。黒潮は透明度の高い暖かい流れ(暖流)で沖縄の方から太平洋を本州沿いに北上し、房総半島沖で本州から離れていきます。この黒潮に乗っていろいろな生物が太平洋側の各地に流れ着きます。神奈川では6月くらいから観察でき始め、徐々に数が増えていきます。神奈川を住処とした季節来遊魚達は季節を追うごとに成長しますが、12〜1月を迎えると下がった水温に耐えられず死んでしまします。そして翌年また新たな季節来遊魚がやってきます。
これが正常なサイクルだったのですが、実は近年海水温の上昇により死なずに翌春まで生きながらえて更に成長する季節来遊魚が増えています。今までは神奈川の海では見ることのなかったサイズの季節来週魚が非常に増えているのです。もはや季節来遊ではなくなりかけているわけですね。
写真の白と黄色の魚はトゲチョウチョウウオの幼魚です。「ザ沖縄」な魚です。季節来遊魚の代表格です。
またもう1枚の写真はアイゴの幼魚です。この魚は季節来遊魚ではないのですが、水温が上がったことで爆発的に増えた魚で、海藻を食べてしまう厄介な魚です。
【磯遊び教室,シュノーケリング教室】紹介ページへ
教室参加者のコメントはコチラ
2024年8月25日 11:11
大潮の干潮時間で磯遊びフィールド超拡大!
2024年8月17日(土)
小田原市からお越しの小学3年生の男の子とお父さんに参加頂いて磯遊び教室を開催しました。
突然ですが「大潮(おおしお)」って何だかわかりますか?
大潮とは満潮と干潮との水位差が大きい日のことで、月にもよりますが1ヶ月間に約4日ずつ合計8日間くらいあります。
潮干狩りを考えてみて下さい。
大潮の日の干潮時間にやれば、掘れる砂浜がとても広くなり、貝をたくさん拾える確率が上がります。
これと同じで磯遊びも大潮の日の干潮時間に行えば、より多くの岩場が水面上に出現し、遊ぶ範囲が増え、生物をたくさん見つける確率が上がります。
この日の潮回りはその大潮!
そして磯遊び教室開催時間中がほぼ干潮時間!!
絶好の日時で開催の磯遊び教室となりました。いつもは海中に沈んでいる場所が陸上に出ていて遊ぶ範囲が広い!そしていつもは見れない岩の亀裂がみえてカニやイソギンチャクがたくさんいたり、水面から青い魚(ソラスズメダイ)も見ることができました。
そしていつもお願いしているゴミ回収、今回は回収量が多かった!
【磯遊び教室,シュノーケリング教室】紹介ページへ
教室参加者のコメントはコチラ



小田原市からお越しの小学3年生の男の子とお父さんに参加頂いて磯遊び教室を開催しました。
突然ですが「大潮(おおしお)」って何だかわかりますか?
大潮とは満潮と干潮との水位差が大きい日のことで、月にもよりますが1ヶ月間に約4日ずつ合計8日間くらいあります。
潮干狩りを考えてみて下さい。
大潮の日の干潮時間にやれば、掘れる砂浜がとても広くなり、貝をたくさん拾える確率が上がります。
これと同じで磯遊びも大潮の日の干潮時間に行えば、より多くの岩場が水面上に出現し、遊ぶ範囲が増え、生物をたくさん見つける確率が上がります。
この日の潮回りはその大潮!
そして磯遊び教室開催時間中がほぼ干潮時間!!
絶好の日時で開催の磯遊び教室となりました。いつもは海中に沈んでいる場所が陸上に出ていて遊ぶ範囲が広い!そしていつもは見れない岩の亀裂がみえてカニやイソギンチャクがたくさんいたり、水面から青い魚(ソラスズメダイ)も見ることができました。
そしていつもお願いしているゴミ回収、今回は回収量が多かった!
【磯遊び教室,シュノーケリング教室】紹介ページへ
教室参加者のコメントはコチラ
2024年8月17日 12:54



















